2015-4-23 Barbados (8-5): Folkestone
This was our 3rd time to Barbados. It certainly isn't very impressive from the very industrial port. But away from the port is a beautiful pretty wealthy island.First time we were there I took a photo tour and loved seeing the Scottish district and Bathsheba area. The next time we discovered Folkestone Marine Park. This time we took a taxi and went back to Folkestone. Fare was about $35/person rt. Admission into the marine park is free.
Heading in----
a flounder
a blue striped snapper
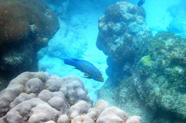
a Parrotfish
another Scrawled Filefish---they were everywhere in the Caribbean
topography of the marine park.
spotlight parrotfish
a trunkfish
another type of Parrotfish
a male Hogfish
another type of blue head wrasse
another type of filefish
Looking back towards the lifeguard station, store, and restrooms.
Even came across this rather large barracuda.
Looking down the walkway. This is a great area.
We were happy to see more people enjoying the area this year, but we still didn't run across anyone from the ship. I wonder why they don't go here?!

No comments:
Post a Comment